横浜も桜の開花宣言がでました。桜が咲く頃は海水温が最も低い時期でもあります。
最近週末になるたびにお天気が悪く、なかなか海に出かけることができませんでした。
今週も本当は土曜日に海に出たかったのですが、生憎の雨・・・日曜日の釣行となりました。
最低気温5度 肌寒い朝であります。
今日は係留終わったのが7時。やはりというか海底には外道も居ない状況ですからひたすら打ち込みを続けます。
開始1時間半くらい経った頃でしたでしょうか? 柔らかいサシエが初めて取られます。ダンゴの集魚の効果を調整しながらおチヌ様が入ってくるのを待ちます。
ダンゴ投入を繰り返すたび、段々と外道の活性も高くなってきたようで柔らかいサシエは瞬殺されるようになってきます。ハリスを切られることもあったので フグ系の外道が寄っているはず・・・針を丸海津に替えてラインテンション高めで掛け合わせの釣りをしてみると・・・・
あなたでしたか・・・キープw
底にカワハギが居るということはキタマクラも来ているはず・・・(汗)
今日は柔らかめのサシエは終日瞬殺されることになるのですが、穂先の当たりの出方を見ているとほぼキタマクラだった気がします。
キタマクラにやられっぱなしですが、おチヌ様が入ってくれば蹴散らしてくれるはず? ガマンの釣りが続きます。
10時、柔らかめの餌だけではダメだと思い やや硬めの餌で間を作っていたときでした。ジビジビした当たりで「うーん、いつ合わせるか?!」と迷っていたら
ラインがキュンって引き込まれましたw
すかさずフルスイング♪
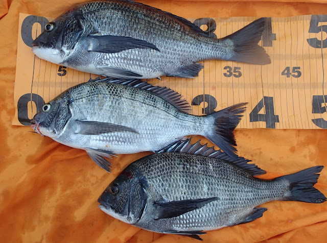
本日1枚目のおチヌ様ゲット~w
追釣を狙って同じサシエを落としてみますが、スカw
柔らかいサシエで直下のポイントに魚を集め続けつつ、硬いエサでおチヌ様を釣る作戦ですが、11時前後に2連荘で おチヌ様2枚追加!
お昼を過ぎたら潮の流れが変わってサシエが全く取られなくなったので、ちょっと早めの沖上がりとしました(日曜日の釣りは疲れを残さないようにするのがポイントですw)
大きいおチヌ様が釣れなかったのは残念でしたが、いずれも食べ頃サイズなので全量お持ち帰りにしたよ。

